クロナガアリの飼育
2025年4月24日
クロナガアリの新女王を探していたら、結婚飛行は終わっていたものの、掘りたての新女王の巣穴を見つけ、掘り出してみたら新女王が1匹出てきました。ダメ元で学校から帰ってきたついでに探していたので、びっくりしたし、嬉しかったです。もう1つ巣穴を見つけ、2匹の新女王を捕まえることができました。プラスチックのケースに濡らしたティッシュを入れた簡易的な飼育ケースに入れて、ストローを半分にして作った餌皿に水で薄めたメープルシロップを与えました。
2025年4月25日
今日も結婚飛行があるかもしれないと思い、昨日と同じところに探しに行くと、またもや2つ、巣穴を見つけました。穴に2匹ずつ入っていて、計4匹捕まえことができました。これで6匹になりました。
2025年4月27日
ちゃんとした石膏のケースを作り、そこに入れました。馴染んでくれるか心配です。
2025年4月28日
昨日は女王全員が固まっていたのに、今日見ると、2匹と4匹のかたまりに分かれてしまっていました。2匹は角にかたまっていて、4匹は入り口のチューブの中にいました。ケースが広すぎたのが原因かもしれません。
2025年4月29日
今日は全員で入り口のチューブに入ろうとしていて、狭いところに入りたかったのかなと思い、長めに切ったチューブを飼育ケースの中に入れました。
2025年4月30日
今日見ると、全員でチューブの中に入ってくれていて、成功して良かったです。
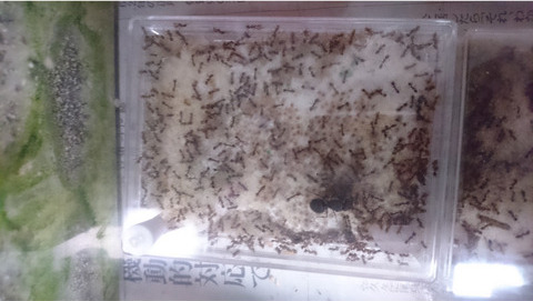
2025年5月11日
だんだん生まれた幼虫が大きくなってきました。働きアリが生まれるまで、あと少しです。
画像1枚目…チューブを入れた飼育ケースで飼育している様子。 画像2枚目…大きくなってきた幼虫と女王アリ。左から2番目の女王の下の白く丸いもの。

コメント
石膏巣はしっかり乾燥したものを使用しましたか?
そういえば乾燥させてません。乾燥させていないと何が起こるんですか?
とても問題があるわけではないんですが、柔らかいままでアリが掘りやすく、水をしっかりと吸収してくれなくなったりもします。せっかくアリを飼うので乾燥はさせたほうがいいですよ!
わかりました!もう作ってしまい、アリも落ち着いているので、次作るときは気をつけます。
ぜひそうしてください。アリの飼育を楽しんで!