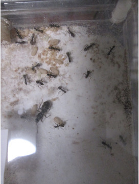
某蟻販売店でルフィペスフトハリアリを購入しました。 働き蟻が10匹程度のコロニーです。 巣は大きな部屋付き石膏ケースで飼育しています。 うまいこと飼育するコツなどあれば教えて欲しいです。
ルフィペスフトハリアリの飼育方法を教えて! Arinko-daisuki 2026/3/19 2026/3/19 某蟻販売店でルフィペスフトハリアリを購入しました。働き蟻が10匹程度のコロニーです。巣は大きな部屋付き石膏ケースで飼育しています。うまいこと飼育するコツなどあれば教えて欲しいです。 コメント コメントを書く アカヤマアリが好きな人(カラフトクロオオアリが飼いたい)さん 2026-03-30 08:42:42 ルフィペスフトハリアリは飼育したことはないですが、 ハリアリなので餌切れと繭の補助剤があればうまくいくと思います。 また、掃除もおそらく苦手でしょうので、餌は食べ切れるサイズにし、 ゴミが出づらくしたほうがいいと思います。(1cmくらいのレッドローチとか) 参考になれば幸いです。 Arinko-daisuki 2026-03-30 08:44:38 コメントありがとうございます。 毎日餌を与えて、餌のカスを餌場に運び出してきたら回収して、カビやダニが湧かないようにしようと思います。
コメント
ルフィペスフトハリアリは飼育したことはないですが、
ハリアリなので餌切れと繭の補助剤があればうまくいくと思います。
また、掃除もおそらく苦手でしょうので、餌は食べ切れるサイズにし、
ゴミが出づらくしたほうがいいと思います。(1cmくらいのレッドローチとか)
参考になれば幸いです。
コメントありがとうございます。
毎日餌を与えて、餌のカスを餌場に運び出してきたら回収して、カビやダニが湧かないようにしようと思います。