クロオオアリ観察日記
蟻月
2021/7/22
2024/11/8
7/22 餌やり
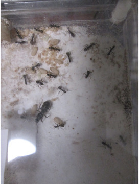
今日はあり巣 in undergroundさんのプロテインパウダーミートをうちのクロオオアリに与えました。。
とても食いつきがよく、たくさん食べてくれたので嬉しいです!!
あり巣さんのショップ↓
https://Aliceinunder.theshop.jp/
今日はあり巣 in undergroundさんのプロテインパウダーミートをうちのクロオオアリに与えました。。
とても食いつきがよく、たくさん食べてくれたので嬉しいです!!
あり巣さんのショップ↓
https://Aliceinunder.theshop.jp/
コメント
コメントはまだありません。